Druhý deň vyzerá dosť depresívne – vonku je hmla, chladno a tmavo. Opúšťame Naľčik, pričom míňame sochu jazdca. Socha pripomína vojakov zo 115-tej Kabardino-Balkarskej divízie, ktorí padli počas Veľkej vlasteneckej vojny.
Cestou do hôr na nas dýchne duch histórie ešte o čosi dávnejšej. Tomáš sa pýta na nenápadne kopce a kopčeky v poliach, ktoré z väčšej či menšej vzdialenosti lemujú hlavnú cestu. Sú to kurgany, mohyly z doby bronzovej. Práve z územia severného Kaukazu, z kurgana z obdobia asi 3000 rokov pre n.l., pochádza aj nález najstaršieho zubadla vôbec.
Poľnou cestou prechádzame na farmu uprostred lúk – teda, ak sa dá farmou nazvať schátraný dom, oň prilepené vonkajšie "boxy" s plachtovými stenami a ohrady, pozbíjané z rôznorodých kusov dreva. Farma je síce luxusu vzdialená na hony, ale ako zisťujeme neskôr, na kvalitu tunajších to koní to nemá žiaden vplyv. Nakoniec, kabardinský kôň je plemeno veľmi nenáročné a odolné.

Auto hneď obstúpi svorka mohutných kaukazských psov. Majiteľa, Azamata, zatiaľ nevidno, takže zatiaľ nevystupujeme. Prichádza až o chvíľu autom, psy sa už netvária tak nebezpečne, ale pre istotu sa od ich gazdu príliš nevzďaľujeme.
Pomocník predvádza najprv žrebca Ašabeja, 8-ročného víťaza pretekov na 120 km v Moskve i niekoľkých ďaľších súťaží na 90 km. Po ňom nasleduje športový valach a 2-3-ročné žrebce. Podľa slov majiteľa sú všetky jeho kone na predaj, stačí si ukázať.
Trochu bizardný mi pripadá odchyt mladého žrebca v boxe. Tento kôň, ktorý vyrástol polodivoko v horách, ľuďom ešte zjavne celkom nedôveruje a po otvorení dverí boxu ustupuje k zadnej stene. Majiteľ zvesí zo steny boxu drôtený hák, zachytí ním ohlávku koňa a pritiahne si ho na dosah. Takáto manipulácia je pre tohoto koňa akceptovateľná, háku sa nebojí a necháva si pripnúť vodítko.

Pristupujeme k ďalšiemu boxu, v ktorom je plemenný žrebec s putami na nohách. Podľa slov Azamata je nebezpečný a drží ho hlavne kvôli vzácnemu pôvodu. Samozrejme, takto v boxe nie je zavretý celoživotne, pred presunom do hôr sa pripojí k stádu kobýl a to bude vodiť v horách až do jesene. Vodiť tabún (alebo "kosjak", ako ho tu volajú) je zodpovedná úloha – stádo je potrebné chrániť pred vlkmi, brániť pred inými žrebcami, prevádzať medzi pastvinami, k vode a podobne. Počas nášho pobytu na Kaukaze sme si vypočuli niekoľko historiek o živote žrebcov v horách. Napríklad o tabune, ktorý jeho žrebec previedol cez hory na svoje predošlé pôsobisko u minulého majiteľa. Alebo o majiteľovi, ktorý šiel na žrebcovi skontrolovať svoje stádo a bol vedúcim žrebcom napadnutý.
Pri stajni sú uviazané ešte tri mladé žrebce, pripravované na obsadanie. Všetky majú ručne pletenú ohlávku z lana. Dve takéto ohlávky máme doma – prišli nám s nimi z Ruska kone od Ibragima. Máme ich doteraz a sú u nás veľmi obľúbené. Nasadzujú sa jednoducho, prevlečením za uši a hneď je možné koňa viesť za kus lana, ktorý je pokračovaním ohlávky pod bradou.
Nasadáme do auta a po poľnej ceste nasledujeme auto chovateľa, ktoré sa pred nami občas objaví v hmle. Ak som dobre rozumela, ideme sa pozrieť na jeho kobyly. Zastavujeme, vychádzame z aut a čakame. Z hmly sa postupne vybárajú obrysy koní, prechádzajú okolo a miznú znova v hmle. Kobýl je veľa, chovateľ ich má okolo stovky. Za stádom prichádza zababušený jazdec, ktorý sa pristavuje pri nás. Dozvedáme sa, že tento starší pán je otcom chovateľa. V týchto končinách je ešte možné nájsť rodiny, venujúce sa po generácie chovu koní. O chvíľu sa stráca v hmle aj on a my pokračujeme poľnou cestou na ďalšiu farmu.
Naša Lada Niva je do týchto hôr ako stvorená, spoľahlivo nás vezie aj po strmých cestách a cez kamenisté potoky. Netuším, kde sme, hmla je naozaj veľmi hustá. Chvíľu klesáme, prechádzame cez nejakú dedinu a o chvíľu znova stúpame do hôr.

Prichádzame k nízkej skromnej budove, vedľa ktorej je ohrada.O ňu je uviazaných niekoľko koní so sedlom i bez, cez ohradu sú prevesené vlčie kožušiny a nechýbajú ani psy. Zdá sa , že sme na mieste.
Domáci, majiteľ a pastieri, nás vítajú a dostávame horské pohostenie – kyslé mlieko ajran (vďaka ktorému sa na Kaukaze dožívajú 100 rokov), med, chlieb a sušené kozie mäso, ktoré chvíľu predtým opiekol Ibragim v piecke. K piecke sa tlačí 3-dňové kozľa, zjavne mu je zima. Vlhko, chlad a vietor tvoria vonku na vyschnutej tráve ľadové "zástavky" a nedovoľujú udržať fotoaparát v ruke dlhšie ako pár minút.
Pastieri priháňajú do ohrady stádo koní s hrivami bielymi od námrazy. Pýtam sa na maličké žriebätá, ktoré sa motajú okolo matiek. Pastieri mávnu do hmly, že tam, v poli, sa v predošlé noci narodili a že kým majú matky dostatok mlieka, ani takéto počasie nie je pre ne problémom.
Obzeráme si kone, je medzi nimi i niekoľko plavákov. Plavá farba nie je pre kabardinské plemeno typická a svedčí o krvi karabašských alebo achaltekinských koní. Nakoľko je ale o tieto farby záujem, do poslednej plemennej knihy bolo zapísaných už aj niekoľko koní tejto farby.

Vraciame sa do doliny, hmla ustupuje a my zastavujeme pri dedine pri potoku, okolo ktorého sa pasú kobyly a niekoľko žriebät. Na svahu na ne dohliada pastier na koni.
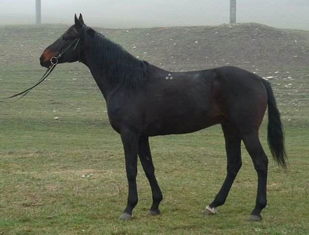
Na čiernom plemennom žrebcovi o chvíľu docvála aj majiteľ týchto koní. Žrebec sa volá Karagjoz a na Svetových jazdeckých hrách 2006 v Aachene sa na 160 km dlhej vytrvalostnej trati umiestnil na 48. mieste.
Nivou sa po ceste presúvame k druhému stádu, čo majiteľ využíva na predvedenie žrebca a tryskuje súbežne s nami po lúkach. Toto stádo je zložené z mladých žrebcov, z ktorých niektoré sú potomkami práve Karagjoza. Aj tieto žrebce sú na predaj.
Deň končíme v kaukazskej reštaurácii jedného z chovateľov. Počúvame príbehy, jeme čerkesské jedlá (ako ináč, z baraniny), na stole nechýba ani vodka. Podľa tunajšej tradície je jeden z účastníkov posedenia "starejším". Zvyčajne ním býva najstarší alebo najváženejší človek . Ten vyzýva postupne ľudí od stola k prípitku, tzv. tovtu. Prípitkom je samozrejme štamperlík vodky a pokiaľ sa na abstinenciu neodvoláte hneď na začiatku (ako napríklad ja), po určitom množstve prípitkov môžete byť už v slušne povznesenej nálade. Túto večeru sme zakončili prípitkom na verných kaukazských psov. Myslím, že na koniec bol najvyšší čas… 🙂

Umělec Jakub Flejšar na střeše domu v pražském Podolí v úterý vztyčil sousoší, na kterém se bájný ků...
Říkali o něm, že je držgrešle. Ostatně si odseděl rok za daňové úniky. Přitom na dostizích vyhrál rane...